|
|
|
Hintergrundmuster elimineren |
|
| Texrex |
Gast
|
 |
Beiträge: ---
|
 |
|
 |
Anmeldedatum: ---
|
 |
|
 |
Wohnort: ---
|
 |
|
 |
Version: ---
|
 |
|
|
 |
|
Verfasst am: 20.01.2021, 16:42
Titel: Hintergrundmuster elimineren
|
 |
Hallo,
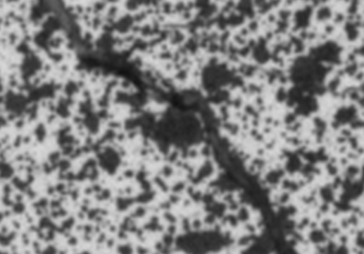
ich mühe mich mit einer eigentlich simplen Aufgabe ab. Und zwar habe ich eine gescheckte Oberfläche mit Rissen darin.
Ich versuche jetzt, das Muster auf der Oberfläche zu eliminieren aber die Risse zu erhalten.
Kennt jemand eine gute Funktion, um das Muster zu löschen und die risse zu behalten?
Problem ist vor allem, dass das Muster zum Teil größer als die Risse sind (s. Anhang)
| Beschreibung: |
|
 Download |
| Dateiname: |
Riss.png |
| Dateigröße: |
142.21 KB |
| Heruntergeladen: |
575 mal |
|
|
|
|
|
|
|
|
|
Einstellungen und Berechtigungen
|
|
Du kannst Beiträge in dieses Forum schreiben. Du kannst auf Beiträge in diesem Forum antworten. Du kannst deine Beiträge in diesem Forum nicht bearbeiten. Du kannst deine Beiträge in diesem Forum nicht löschen. Du kannst an Umfragen in diesem Forum nicht mitmachen. Du kannst Dateien in diesem Forum posten Du kannst Dateien in diesem Forum herunterladen
|
|
Impressum
| Nutzungsbedingungen
| Datenschutz
| FAQ
| RSS
Hosted by:
Copyright © 2007 - 2026
goMatlab.de | Dies ist keine offizielle Website der Firma The Mathworks
MATLAB, Simulink, Stateflow, Handle Graphics, Real-Time Workshop, SimBiology, SimHydraulics, SimEvents, and xPC TargetBox are registered trademarks and The MathWorks, the L-shaped membrane logo, and Embedded MATLAB are trademarks of The MathWorks, Inc.
|
|